Etsitkö tonttia hyvien liikenneyhteyksien varrelta?
Nyt tarjolla hyvällä sijainnilla upea paikka uudelle omakotitalolle. Tämä 523m2 tontti on suositulla alueella Vehmaisissa ja lyhyt matka Tampereen keskustaan sekä Kangasalan keskustaan.
Lapset pääsevät nopeasti ja turvallisesti kouluihin ylittämättä isoja teitä. Kaikki palvelut ovat kivenheiton päässä!
Silja Myllyniemi
0452377944
silja.myllyniemi@neliotliikkuu.fi
Facebook/ Neliöt Liikkuu Silja Myllyniemi
Instagram/ neliotliikkuusilja
Silja Myllyniemi
Kiinteistönvälittäjä, LKV, LVV, KiAT
045 237 7944
silja.myllyniemi@neliotliikkuu.fi
Ota yhteyttä
| Kohdenumero | 20148958 |
|---|---|
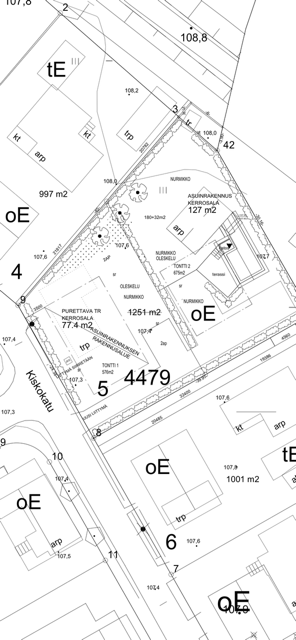
| Sijainti | Kiskokatu 9 A, 33730 Tampere |
| Omistusmuoto | Oma |
| Huoneita | Ei luokiteltu |
| Tyyppi | Omakotitalotontti (kiinteistö) |
| Vapautuminen | heti |
| Kohteen kunto | Ei luokiteltu |
| Energialuokka | Ei lain edellyttämää energiatodistusta |
| Velaton lähtöhinta | 99 000 € |
|---|---|
| Lähtöhinta ilman velkaosuutta | 99 000 € |
| Velkaosuus | - |
| Vuokrattu | Ei |
| Sähköliittymä siirtyy | Kyllä |
|---|
| Liikenneyhteydet | |
|---|---|
| Tie perille | Kyllä |
| Viemäri |
|
|---|---|
| Vesihuolto |
|
| Koko | 523 m² |
|---|---|
| Omistus | Oma |
| Kaavoitustilanne |
|
| Kiinteistötunnus | 837-045-4479-9 |
| Nimi | Myllyniemi Silja |
|---|---|
| Sähköposti | silja.myllyniemi@neliotliikkuu.fi |
| Puhelin | 0452377944 |
| Yrityksen nimi | Neliöt Liikkuu LKV Oy Ab |
| Toimiston nimi | Neliöt Liikkuu LKV Oy Ab, Kangasala |
| Yrityksen nimi | Neliöt Liikkuu LKV Oy Ab |
|---|---|
| Toimiston nimi | Neliöt Liikkuu LKV Oy Ab, Kangasala |
| Osoite | Myllystenpohjantie 1, Kangasala |
| Toimiston puhelin | 0102481600 |
| Toimiston sähköposti | info@neliotliikkuu.fi |